Warszawa: Jak wjechać na ścieżkę rowerową przy Parku Praskim?
P {}A:link {}
Jak rowerzyści powinni sobie radzić w sytuacji, kiedy przepisy i infrastruktura rowerowa nie umożliwiają bezpiecznego poruszania się po mieście? Na pytania odpowiada, na przykładzie wjazdu na ścieżkę rowerową przy Parku Praskim w Warszawie, Aleksander Buczyński z Zielonego Mazowsza
Do tradycyjnych polskich rozrywek należy narzekanie na rowerzystów jeżdżących niezgodnie z przepisami i zachowujących się na drodze nieprzewidywalnie. Rozrywka jest zdecydowanie lepsza, gdy rozważania prowadzi się w oderwaniu od przepisów i obowiązującej w danym miejscu organizacji ruchu. Jeśli bowiem ktoś zna przepisy i obejrzy wiszące w danym miejscu znaki, to w wielu przypadkach bardzo szybko dochodzi do wniosku, że jazda zgodnie z przepisami jest albo bardziej niebezpieczna niż ich łamanie ([zobacz >>>]), albo kompletnie niepraktyczna ([zobacz >>>]) albo zwyczajnie niemożliwa, ze względu na błędy i niespójności w organizacji ruchu [zobacz >>>] [zobacz >>>].
Studium przypadku: plac Weteranów 1863 r.
Weźmy skrzyżowanie al. Solidarności i Sierakowskiego. Most Śląsko-Dąbrowski nie jest wprawdzie wyposażony w drogę dla rowerów, ale jak na warunki warszawskie jest relatywnie przyjazny dla ruchu rowerowego, znacznie bardziej niż np. Poniatowszczak, nie mówiąc już o Łazienkowskim. Zaraz za Wisłą rozpoczynają się osiedla mieszkaniowe, z których można w kilkanaście minut dojechać rowerem do centrum. Wracający jednak na Pragę na pierwszym skrzyżowaniu za mostem trafiają na zagwozdkę z dziedziny organizacji ruchu.
W czym problem? Otóż w rejonie placu Weteranów 1863 r. po lewej stronie drogi zaczyna się ścieżka rowerowa wzdłuż al. Solidarności. Po lewej stronie kusi też Park Praski, którego szeroką aleją (Łukasińskiego) można przyjemnie dojechać do skrzyżowania Jagiellońskiej i Ratuszowej. Ale jak na tę ścieżkę lub aleję wjechać? Na zjeździe z mostu stoi przecież znak zakazu skrętu w lewo.
Na najbliższym skrzyżowaniu po lewej stronie zaczyna się ścieżka rowerowa. Znak B-21 zakazuje jednak wjazdu na nią. Żeby nikt nie miał wątpliwości, a producent znaków nie chodził głodny, powtórzono go trzykrotnie.
Zgodnie z obowiązującą organizacją ruchu rowerzysta, który chciałby pojechać z mostu Śląsko-Dąbrowskiego na Nową Pragę, Pragę II, Targówek czy Białołękę, powinien:
A. jechać prosto… aż do Szwedzkiej. Nie może skręcić ani do Parku Praskiego (zakaz bez wyjątków), ani w Jagiellońską (skręt tylko dla tramwajów), ani w Rzeszotarskiej (tylko przejście dla pieszych). Pierwsza możliwość legalnego skrętu w lewo pojawia się dopiero na skrzyżowaniu z ul. Szwedzką. Oznacza to nie tylko nadłożenie drogi, ale także konieczność najbardziej niebezpiecznego dla rowerzysty manewru tam, gdzie droga ma już po 3 pasy ruchu w każdym kierunku, a kierowcy rozwijają prędkości po 80 km/h. Do tego są wkurzeni, bo widzą ścieżkę rowerową i rowerzystę plątającego się po jezdni.
Legalne alternatywy to:
B. skręt w prawo w ul. Sierakowskiego, objechanie kwartału ulic Kłotopowskiego – Wybrzeże Helskie, przejazd pod mostem Śląsko-Dąbrowskim, a następnie alejką w Parku Praskim wzdłuż nasypu al. Solidarności z powrotem do miśków. W sumie 1200 m objazdu i 2 dodatkowe światła, by przedostać się na ścieżkę rowerową po drugiej stronie ulicy.
C. skręt w prawo w ul. Sierakowskiego, następnie w lewo w Okrzei i jeszcze raz w lewo w Jagiellońską. W ten sposób nadkładamy tylko 900 m, ale odstoimy swoje na aż 6 dodatkowych sygnalizacjach. Do tego zamiast relaksować się w pięknych okolicznościach przyrody Parku Praskiego, pakujemy się w kocioł przesiadkowy koło cerkwii, ze wszystkimi jej atrakcjami (przejazd przez szyny pod małym kątem, duży ruch autobusowy, milion pieszych itp.).
D. prosto przez skrzyżowanie, z Sierakowskiego, na następnym skrzyżowaniu skręt w prawo w ul. Jagiellońską, zawrotka po ok. 100 m między sznurami autobusów i ponownie dalej jazda prosto. To zaledwie 400 m, ale jeszcze dokładniej zwiedzamy węzeł przesiadkowy, plątając się autobusom pod kołami w tę i we wtę.
Z czystym sumieniem można zaryzykować stwierdzenie, że w zasadzie nikt tak nie jeździ.
Zaraz ktoś powie, że można przecież zatrzymać się za skrzyżowaniem, zsiąść z roweru i przeprowadzić go przez przejście dla pieszych. W ten sposób jednak również łamiemy przepis – o zakazie zatrzymywania, z którego rower też nie jest wyłączony. Do tego dochodzi mnożeniu punktów kolizji, o którym kawałek dalej, i pakowanie się z rowerem na uczęszczane przejście na przystanek. A rowerzysta prowadzący rower zajmuje więcej miejsca niż jadący na rowerze.
Najprostsze rozwiązanie to powieszenie tabliczki nie dotyczy rowerów pod znakiem zakazu skrętu w lewo na zjeździe z mostu i usunięcie część oznakowania powierzchni wyłączonej z ruchu. Rowerzysta wtedy przed skrzyżowaniem z Sierakowskiego powinien przesunąć się do lewej krawędzi pasa ruchu, co nie jest szczególnie trudne (testowane na zwierzętach), bo kierowcy zwalniają ze względu na wyspę dzielącą, a rowerzysta ma z górki i rozwija porównywalne prędkości. Na skrzyżowaniu powinien zatrzymać się przed torami, by ustąpić pierwszeństwa tramwajom i niektórym autobusom, a następnie za torami pojazdom jadącym z naprzeciwka. Zarówno między jezdnią południową a torami, jak i między torami a jezdnią północną jest miejsca na zatrzymanie co najmniej 10 rowerzystów.
Rozwiązanie nieco bardziej wyrafinowane to śluza do skrętu w lewo na wlocie ul. Sierakowskiego. Rowerzysta trzyma się wtedy prawej krawędzi jezdni al. Solidarności i zatrzymuje na wlocie ul. Sierakowskiego na pasie przeznaczonym do skrętu w lewo, tak by nie blokować skręcających z Sierakowskiego w prawo. Gdy światło się zmieni lub po prostu droga jest wolna, przejeżdża przez al. Solidarności w poprzek. Jest to rozwiązanie łatwiejsze dla mniej doświadczonych rowerzystów, ale wiążące się z większą stratą czasu.
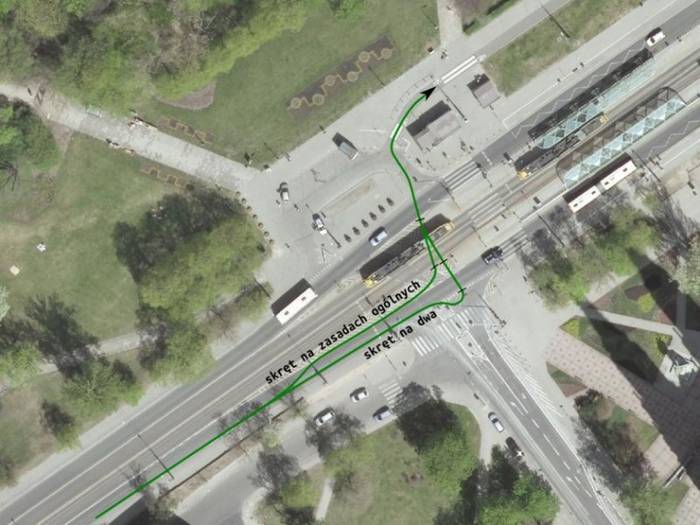
Jak być powinno: skręt w lewo na zasadach ogólnych lubna dwa. Czarne kreski wskazują miejsca warunkowego zatrzymania.
Inżynier Ruchu przez jakiś czas twierdził, że planowane jest wyznaczenie przejazdu dla rowerzystów obok przejścia dla pieszych [zobacz >>>]. Teraz już nie twierdzi, bo projekt się zdezaktualizował. Nawet gdyby jednak projekt został zrealizowany, byłoby to rozwiązanie dalekie od optymalnego. Dlaczego?
Aby skorzystać z przejazdu obok przejścia dla pieszych, rowerzysta jadący z mostu musiałby dwukrotnie przeciąć tor jazdy pojazdów skręcających z Sierakowskiego w prawo. Zarówno na wlocie Sierakowskiego jak i wylocie w stronę dworca Wileńskiego, skręcający w prawo mogą jechać w tej samej fazie co rowerzyści: gdy rowerzysta przejeżdża przez Sierakowskiego, kierowca ma zieloną strzałkę, gdy rowerzysta przejeżdża przez al. Solidarności, kierowca ma ogólne zielone. Ponadto przejazd wyprowadzałby prosto na kiosk, ograniczający dostępną przestrzeń i widoczność. Z której strony by go nie ominąć, można się spodziewać konfliktów z pieszymi.
Co planowało miasto: porównanie toru jazdy rowerzysty w rozwiązaniach poprawnych (zielone linie) i w projekcie przejazdu (niebieska linia). Przejazdy obok przejścia dla pieszych lub przeprowadzanie roweru po przejściu dla pieszych oznaczają dwie dodatkowe kolizje z ruchem samochodowym (czerwona linia) i dwie z ruchem pieszym w rejonie kiosku.
W związku z dezaktualizacją projektu przejazdu w 2013 r. poprosiłem o ponowne rozważenie kwestii zalegalizowania skrętu w lewo w sposób najprostszy, najtańszy i najbardziej logiczny. Po dwukrotnym ponagleniu, skardze do Gabinetu Prezydenta i pół roku namysłu otrzymałem wyjaśnienie, że niedasię, bo brak istnienia bezpiecznej powierzchni akumulacji rowerzystów oczekujących na skręt (pismo BD-IR-IO-RP.1510.8.2.2013.MUT). Tymczasem między jezdnią południową al. Solidarności a torowiskiem jest umożliwiający bezpieczne zatrzymanie azyl o długości ok. 3,5 m, a między torowiskiem a jezdnią północną – ponad 4 m. Oba dobrze widoczne na ortofotomapie, nie trzeba nawet ruszać brzucha zza biurka. W obu przypadkach to za mało na samochód, ale dla roweru w zupełności wystarczy. To wręcz znacznie więcej niż na wielu legalnych, zatwierdzonych przez Inżyniera Ruchu, przejazdach rowerowych. Zmieści się nawet rower z przyczepką czy tandem.
Brak istnienia bezpiecznej powierzchni akumulacji rowerzystów oczekujących na skręt – między jezdnią południową a torowiskiem. Niedawno brak został starannie odmalowany.
Brak istnienia bezpiecznej powierzchni akumulacji rowerzystów oczekujących na skręt – między torowiskiem a jezdnią północną. Jak wyżej.
Jak sobie z zastaną sytuacją radzą rowerzyści?
Część oczyma wyobraźni widzi prawidłową organizację ruchu i jeździ tak jak być powinno, łamiąc zakaz skrętu w lewo.
Część – zwłaszcza ci, którzy zeszli schodami lub zjechali windą z Zamkowego, całkowicie omija problem skrętu w lewo, przejeżdżając cały most po chodniku po północnej stronie. To też złamanie przepisu, ale stosunkowo taniego.
Część most pokonuje jezdnią, ale przeskakuje na chodnik po północnej stronie przed skrzyżowaniem, na zjeździe z mostu, gdy tylko dostrzeże lukę w strumieniu pojazdów.
Jeszcze inni jadą do Jagiellońskiej i skręcają w lewo za tramwajem. To jednak dość karkołomny manewr biorąc pod uwagę że tramwaj może też jechać z naprzeciwka i trzeba przeciąć jego tor.
Obecnie: rowerzyści nie mają żadnego legalnego wjazdu na ścieżkę rowerową, ani na dostępną dla nich alejkę parkową, więc radzą sobie na bardzo różne sposoby.
Wystarczy postać chwilę na skrzyżowaniu, by zaobserwować całą gamę ww. zachowań oraz ich mutacji (np. przejeżdżanie przez przejście dla pieszych). Organizacja ruchu powinna wskazywać jedno lub dwa optymalne sposoby pokonania skrzyżowania po to, by kanalizować ruch rowerowy na torze czytelnym dla innych użytkowników drogi. Tymczasem rowerzysta stawiany jest przed paragrafem 22 – co nie zrobi, będzie źle. Dlatego każdy radzi sobie jak może, czego rezultatem jest radosny chaos i przekonanie postronnych, że rowerzyści to nie znają przepisów. Znają, często nawet lepiej niż kierowcy, ale dzięki staraniom naszych inżynierów mogą jedynie wybierać, który z nich złamać. Co gorsza, uporczywe utrzymywanie takich absurdów uczy braku szacunku dla oznakowania, która może nam się odbić czkawką za kilka lat, gdy warszawska sieć tras rowerowych zacznie nabierać spójności i przydatności do użytku.





