Infobike
Trwa sezon Konińskego Roweru Miejskiego. Rowery z GPS i elektronicznymi blokadami
Trwa nowy sezon Konińskiego Roweru Miejskiego. W tym sezonie pojawiły się nowości w systemie…
Rowerem z Wadowic nad Jezioro Mucharskie – nowa ścieżka już otwarta!
Ścieżka rowerowa, która połączyła Wadowice z Jeziorem Mucharskim, była jedną z bardziej wyczekiwanych inwestycji…
Nowe projekty rowerowe w Częstochowie i okolicach. Powstanie153 km tras rowerowych
Samorządowcy z Częstochowy i okolic zawarli kolejne partnerstwa dotyczące budowy dróg rowerowych. Trasa 609…
Gdynia: Rusza kampania „Do Pracy Jadę Rowerem”. Sprawdź nowe zasady
Dzisiaj, 8 kwietnia startuje najdłużej funkcjonujący i cieszący się popularnością projekt „Do Pracy Jadę…
Pszczyński Rower Miejski powraca! Rusza jeszcze w kwietniu z 9 stacjami
Jeszcze w tym miesiącu do Pszczyny powróci rower miejski. Jednoślady będzie można wypożyczać od…
Most pieszo-rowerowy nad Wisłą hitem Warszawy! 200 tys. osób w pierwszym tygodniu
Około 200 tys. osób odwiedziło most pieszo-rowerowy nad Wisłą w pierwszym tygodniu od otwarcia….
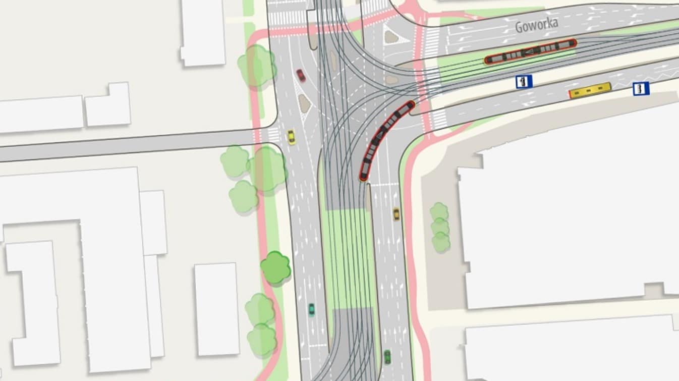
Warszawa: Więcej zieleni i ścieżek rowerowych na Puławskiej
Droga dla rowerów przed dawnym kinem Moskwa, droga rowerowa przez ulicę Goworka i droga…
Nowy sezon Częstochowskiego Roweru Miejskiego – poznaj nowości!
W nowym sezonie Częstochowski Rower Miejski wystartował z jednośladami czwartej generacji. Ich wypożyczaniem zajmuje…
Rower Miejski w Legionowie – bez stacji, bez depozytu, pierwsze 30 minut gratis!
Od 1 kwietnia do 31 października 2023 r. można korzystać z systemu Rowerów Miejskich…
Metrorower w marcu – poznaliśmy statystyki. Najwięcej wypożyczeń w Katowicach
Rowery miejskie zostały wypożyczone 46 tys. razy w ciągu pierwszego miesiąca działalności Metroroweru. Firma…
3 tys. rowerów w 11 miastach. Nextbike wystartował z sezonem rowerowym
Na przełomie marca i kwietnia sezon rowerowy Nextbike rozkręcił się na dobre. Niemal 3…
BIKE EXPO 2024: Romet zaprezentuje swoją przełomową kolekcję rowerów
W najbliższy weekend 6-7 kwietnia, Stadion Narodowy odwiedzą tysiące miłośników rowerów. Podczas BIKE EXPO,…
Przesiądź sie na inne serwisy
Filmy
więcej
